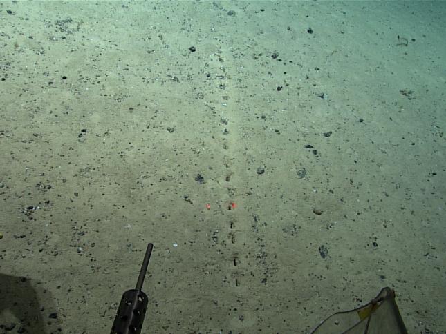
علوم کشف حفرههای عجیب و رازآلود در اعماق اقیانوس اطلس «اگرچه این حفرهها ظاهرا بهدست انسان ساخته شدهاند، اما تودههای کوچک رسوبات در اطراف حفرهها باعث میشود اینطور به نظر برسد که چیزی آنها را حفاری کرده است» تصمیم فعال محیط زیست برای عبور از اقیانوس اطلس با قایق رکورد ۲۹۰۰ ساله دمای آبهای اقیانوس اطلس کماکسیژنی در اقیانوسها، علت انقراض جمعی ۴۴۴ میلیون سال پیش